Australia, Travel

Scuba Diving at the Great Barrier Reef

Hey, everyone! I’ve recently returned from a scuba diving adventure on the Great Barrier Reef. For a long while now, I’ve been apprehensive about scuba diving, but I’m so glad I decided to do it – what an unreal experience it was!

Scuba Lessons

The Learn to Dive course was a five day adventure, with two days in a classroom/swimming pool, and the other three days/two nights living aboard a boat on the Great Barrier Reef.

The classroom portion was overwhelming at times. It was a lot of information to digest. I had to learn a bunch of hand signals, had to learn about all the equipment, etc. It’s been a long while since I’ve been in a classroom and I’m not always the best at learning. I think I get easily distracted haha.

By the end of the first day, we were out of the classroom and in the swimming pool. Our instructor, Joe, wanted to make sure we could all swim first so we treaded water for a while. Then we swam laps with a snorkel on. Eventually, we put on our scuba gear and started doing some troubleshooting exercises in the shallow end of the pool.

Finally, it was time to go to the deep end. I was anxious. I’ve had trouble with my ears in the past. Remember Christmastime, when I couldn’t hear out of my ear for like two weeks? It happened again in Coral Bay, too. In retrospect, I think I did that to my ears because I wasn’t properly equalizing underwater. I would duck dive down into the water, not equalize properly, and then mess up my ears as a result. So, yeah, I was apprehensive about whether I was going to properly equalize or not.

I ended up being fine, luckily. Another classmate, Nils, wasn’t so lucky. At the end of the first day, he had to bow out of the course (with a full refund, allegedly). He wasn’t able to equalize and he was in pain/felt lots of pressure, so he decided not to move forward with the course.

While we were in the water, our instructor Joe floated in the water, cross-legged. He was so in control of his buoyancy, his breathing. He looked like Aang from Avatar the Last Airbender.

The second day of training was more of the same. We started the day in the pool, doing more exercises underwater like practicing our buoyancy, taking our masks off/on, etc. We also had to do things like dropping our breathing regulators and then picking them up and putting them in our mouths again. After training, we went for lunch and then to the dive shop to get our gear together. In the afternoon, we went back to the classroom and took some tests.

We all ended up passing and the following day we would be heading onto the reef. I was really excited. Breathing underwater, even in the bottom of a swimming pool, was so cool. I liked floating near the bottom of the pool, watching my classmates swim around, blowing seemingly metallic oxygen bubbles through their regulators. Time seemed to move in slow motion underwater. Add that to the Great Barrier Reef and… well, yeah, I was in for a treat!

Liveaboard

The first day was off to a rough start. We had to wake up super early and meet at the dive shop. We dropped off any excess luggage then got into vans where we were driven to the marina. I was bringing two pieces of luggage with me – one was my backpack, which had… my phone, DSLR camera, wallet, passport. The other had my diving stuff – swimsuit, towels, toiletries, contacts, GoPro, etc.

As we got to the marina, the drivers told us not to worry about our luggage, just to board the boat and they would take care of everything. I was hesitant, since my whole life was in my backpack, but I figured they must have a reason. Perhaps they were going to load our luggage into our assigned rooms or something. So, I left my things in the van.

We got on the boat and breakfast was waiting for us. The skipper, Angus, told us the ride to the reef was going to be quite bumpy. The dive supervisor, Michael, walked us through what the day was going to look like, introduced us to the crew, and we set off. Shortly after, we received our “safety numbers” (mine was 29) and room allocations. Throughout the trip, any time before going into the water and afterwards, two crew members came around asking us all for our safety numbers. It was their way of accounting for us and making sure everyone was on board safely before/after dives.

We were then told we could grab our things from the back deck and head to our rooms. My tote bag with my diving supplies was waiting for me, but I thought it was curious that my backpack wasn’t next to it. I looked all around the back deck but there weren’t many bags left at this point. Panic struck as I realized they hadn’t loaded it. I reached out to one of the crew members, who insisted that both he and another crew member thoroughly went through the vans and got everything on the boat. “Maybe someone else grabbed it by accident,” he suggested. That was not the case. I explained that my backpack had all my essentials. My instructor, Joe, bless him, got on the phone with one of his colleagues back on land and they confirmed my bag was still on the van. They put it in storage for me. Joe asked if we needed to turn around to get it, but we were already thirty minutes from land. I didn’t want to spoil everyone’s first day, so I said it was fine, just as long as they put it somewhere safe.

I was pretty worried about my bag that first day. I can err on the side of pessimism, so I just kept playing out scenarios where my backpack wasn’t waiting for me at the end of the trip and I would have to go to the U.S. Embassy, etc. It would have been such a kerfuffle. My backpack was waiting for me upon my return, thankfully.

It was almost as if something in me had a feeling something like this would happen. I had cleverly packed EVERYTHING I truly needed for the dive in my other bag which was on board. Imagine if I’d left my contacts and GoPro in my backpack. What a disaster! I had everything I truly needed for the trip… just not everything I would need once I was back on land.

Training Dives

We had four training dives to do before we were considered certified divers. We would be descending to the ocean floor with Joe, completing some skills for him, and then we would swim around for a bit. The first day we had two dives. The second day we had two more, but then we were certified, so that afternoon and evening would be our first dives without the instructor.

School of fish

I was definitely nervous heading into our first dive. This was not a pool… this was the ocean. We hopped off the boat with all our gear on, inflated our vests, and then once we were all in the water, Joe told us to descend while holding onto the rope that lead down to the ocean floor.

Interestingly patterned fish

Thankfully, I was able to equalize my ears and we sat at the bottom of the ocean, doing our exercises. After each exercise, we swam around for a while. The first dive was unreal. We saw a stingray, a shark, an eel. How amazing! There were so many fish everywhere and unlike when snorkeling, they didn’t seem to mind that we were swimming near them.

I believe this MIGHT be a brittle starfish???

The second dive was much of the same. Down on the ocean floor, doing more exercises, then swimming around. Each dive was about thirty minutes long – anything more than that, and oxygen starts running low. I had good control of my breathing underwater (perhaps all that meditation?), so I didn’t use as much oxygen as my dive buddy.

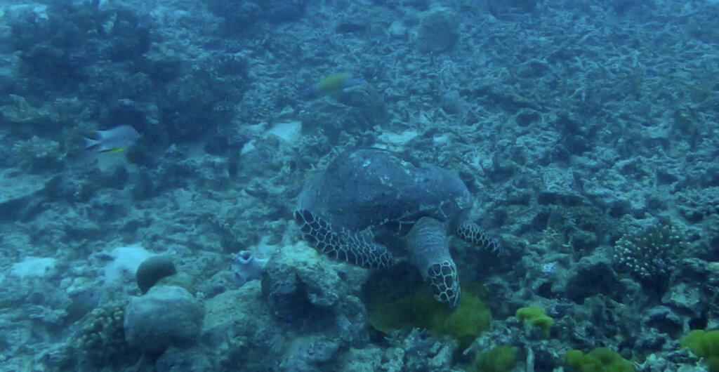
Sea turtle eating sea grass

Since we weren’t certified yet, we weren’t able to do the afternoon dive or the night dive that first day. Instead, I opted to snorkel in lieu of the afternoon dive. It was a good one – I saw two reef sharks and some really amazing fish.

Fishies

In the evening, the uncertified divers watched the others as they hopped into the water at night with flashlights, descending to the ocean floor. It looked scary… but fun.

Eel

The next morning, we woke up at 6.45am for our third dive. I had issues equalizing on that dive, but I signalled it to Joe and he helped me out. We ascended briefly, I tried equalizing again, and then I was fine.

All these fish started swimming into some sort of ball

And then we had our fourth dive! By noon, we were certified divers! Yahoo! The newly certified team included me, Eddy, Katie, Luke, and Noah. Noah was my dive buddy. Robert, Katie, and Luke were a family from New Zealand, and then there was Eddy from Chile.

I was really looking forward to the fun dives, where we could swim with our buddies and truly explore the underwater world… not having to do 15-20 minutes of exercises at the ocean floor with little time to swim around after.

We did have the option to continue on with an “advanced course” which allowed us to be certified even deeper. We were certified for 18 meters/~60 feet. I had considered taking the advanced course at first but I realized if I did it, basically the rest of my dive trip would be about training, not actually experiencing diving for fun on the Great Barrier Reef. It seemed like it would have been a missed opportunity.

Fun Dives

The fun dives were incredible. Noah was a good buddy to have – I’m glad we stuck together since we had taken the course together and had established trust. He was aware I had to descend slowly to make sure I could equalize my ears properly, etc.

Marine life

Before each dive, the dive supervisor Michael would show everyone a map of each reef we stopped at, where good places to explore were, where the water was too shallow, etc. So we weren’t just tossed in the water with no indication of what we might want to check out. It was pretty nice.

And then we were off! We saw eels, stingrays, turtles, sharks, and so, so many fish. Being underwater and having the freedom to explore the area was such an incredible experience.

At this point, I felt very comfortable diving. I breathed comfortably, my ears were equalized and I was in my element… observing all the underwater creatures.

To see the coral, the sea anenomes, the marine life… wow. Phenomenal.

Loved these two! They were swimming around each other in a circular motion.

That second evening, we were able to do a night dive with Joe. Before getting in the water, reef sharks were swimming near the surface – I think they were attracted to the spotlights we were shining into the ground. Noah was freaking out about getting into the water with sharks. They were reef sharks, though, so I felt we would be okay.

Marine life

We went down to the ocean floor and then started swimming around. Much of the marine life was hiding in the coral, sleeping and trying to avoid nocturnal predators. It was cute to see the eyes of little fish peering back at me, tucked inside the coral. We even saw a sleeping turtle.

Marine life

My favorite moment of the night was when Luke spotted… A LIONFISH! I have wanted to see one for so long! They are incredible creatures – please Google them. I didn’t bring my GoPro on that dive because we needed to hold a flashlight in one hand and I wanted my other hand to be free in case of any issues.

On our ascent, we saw a reef shark swimming near the boat. So cool!

Puffer

The next day we had three final dives. We woke up at 5.45am and we had finished our last dive by noon. Our dive supervisor, Michael, joked that we would be like tea bags that last day – going in and out of the water constantly.

Puffer

What can I say other than that it was incredible and it was all done too quickly? I easily could have been on the water two more days, but alas.

Blackspotted puffer

I’m so glad I decided to go on the course. It was about $1,000, which is quite pricy for a budget traveler, but considering how well the course was run… it was absolutely worth it. Despite the initial panic of not having my bag, the tour was well worth it. The crew were all kind, professional, and helpful. Ana, the cook, kept us well fed after and between every dive with a wide spread of food. We were given dive briefings before each dive so we felt comfortable with our surroundings upon descent. Basically, we were completely taken care of and I would 1,000% take a tour with Pro Dive Cairns again.

Trigger fish

It was bittersweet to be leaving the Great Barrier Reef, but I’m glad I made it a priority to get scuba certified and to get underwater. I’m sure I’ll always remember having done this.

Miscellaneous

There were people from all over on the dive trip – aside from my group, they were already certified. People from Denmark, Brisbane, South Africa, South Korea, China, England, New Zealand. It was cool to talk with them all and slowly get to know them. It was a good bunch of people. Everyone was friendly and easy to talk to.

Fishies and reef life

Those from South Korea spoke hardly any English, but had the most incredible underwater cameras. I was certainly jealous!

The girl from China apparently spent her entire dive sessions asking Robert to take photographs of her haha.

One funny moment from the classroom… I turned around to face my classmates and all three of them were napping while the informational video was playing on the TV.

In between dives, I would either lay down to rest or hang out on the top deck, enjoying being out on the ocean. At night, I’d look up at the stars or at the large fish swimming around near the spotlights shining into the water.

Art of the Week

“Self Portrait 2.1”

Another self portrait from Cape Tribulation. I like this one a lot!

Reflections

The Great Barrier Reef was the #1 thing I had planned to see while in Australia. I will likely be snorkeling on the reef again but as for diving… this was likely my last time. At least for now. I’m glad I waited until I didn’t have much time left here before seeing the Great Barrier Reef. In a way, it has been the pinnacle of my trip. After so much snorkeling, being able to scuba dive at the Great Barrier Reef was certainly… a major highlight.

Me scuba diving

What’s next?

Upon my return to Cairns, my friend Gene picked me up. We got pizza and hung out. I called my parents in the evening to check in and let them know I was alive.

Gene and I then went camping for two nights at Murray Falls, but I’ll write about that in my next post. Now that I’m back in Cairns, I’ll only have a few days before heading to my next destination. I would like to do a day trip to Fitzroy Island before leaving but we’ll see if there’s time.

That’s all for now! Until next time.

Sending you all my love! xx