Hey, everyone! My trip to Green Island yesterday was absolutely incredible… so much so, that I felt the need to devote a post solely for the day trip. A bit of a double feature recently, since I had both the Daintree post come out and now this one.
Green Island
I met Indy (AKA Indigo Summerbreeze… his parents were hippies!) along the esplanade one afternoon as the sun was going down. We had a really nice chat. From Brisbane, he told me he was on holiday for a week or so, spending time with friends who live in Cairns as well as his brother/sister-in-law who were in town for the Triathlon.
We seemed to be vibing well, but I was surprised when he invited me to join him on a day trip to Green Island, which is part of the Great Barrier Reef. He said his brother’s hotel accommodation came with all these free tickets – snorkeling tours, island day trips, etc. His friends were working and he wanted someone to go with him. A free trip, for a tour that normally is about $100? Count me in!
We met yesterday morning, boarding the boat at 10am. The tickets we had were technically for snorkeling the outer reef, but Indy and I both preferred to go to Green Island. I’d heard great things about the island and besides, I would be heading to the outer reef when I go to get SCUBA certified. We were allowed to “downgrade” our tickets to just Green Island, which was technically significantly cheaper. As a result, we were offered a free lunch for each of us, free wetsuits/snorkel/fins, and a 30min glass-bottom boat tour of the reef. Um, OKAY!

When we got off the boat, we put most of our stuff in a locker and then walked the entire perimeter of the island. It didn’t take long, maybe thirty minutes, if that puts into perspective just how tiny the island is. From there, we walked around the inside of the island. A lot of it was bungalows and cafes/restaurants, but a certain portion of the island was protected and inaccessible. Surely, that’s where the snakes hang out. And yes, there are snakes on Green Island, a tiny, little island 50min from the mainland. Australia!!!
Along the island, there was the old skeleton of a humpback whale’s skull. It was incredible to be able to just… touch it. To feel the skull of those beautiful beasts! Amazing.

After walking around, we grabbed lunch and quickly scarfed it down before getting on the glass-bottom boat tour.
The tour was really nice, actually! Secretly, I wanted to spend the entire day snorkeling, but I’m glad we did the tour. It was cool to get further out into the ocean, seeing the different coral and the larger fish that weren’t necessarily going to be closer to shore when snorkeling. We even saw an eagle ray, reminding me of my time in Coral Bay.

The skipper tossed some food into the water, and all these massive batfish started splashing at the surface, similar to those at the wharf in Darwin. Shortly after that, the boat pulled back in.
At this point, Indy and I were eager to get in the water. We stopped at the dive shop so we could get our gear, and off we went!
My First Snorkel Along the Great Barrier Reef
I have snorkeled a lot in Australia. I tried to get into the water as much as I possibly could while in Western Australia. I’ve seen a lot of cool stuff, and was warned that the Great Barrier Reef was not in the best condition and not to get my hopes up.
And yet… it completely blew away my expectations – and this is my first time snorkeling, not even along the outer reef (which is the better part of the reef).

Not ten minutes into the snorkel, I spotted an octopus. The water was so clear and shallow. I was able to get much closer to it than the octo-friend I made in Coral Bay. It had a fish friend following it – its protector, perhaps. I recalled that the Coral Bay octopus had a fish friend, too. Maybe they have some sort of symbiotic relationship?

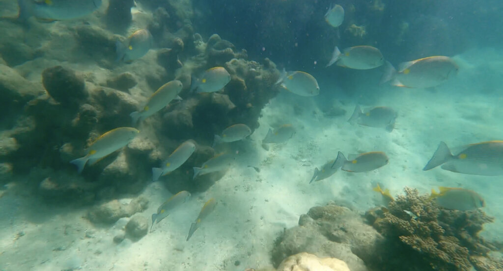
As we went further from shore, we saw all kinds of fish. Parrotfish, cleaning wrasse, bottom feeders… so many fish that I don’t even know the names of.

At one point, Indy tapped my shoulder and wanted me to look at something. A green sea turtle (honu), resting at the bottom of the ocean floor. It was by far the largest sea turtle I’d ever seen!

I had my GoPro with me for taking videos and Indy asked if I wanted a video with it. Sure! As he filmed me diving down, I spotted ANOTHER sea turtle, swimming up to the surface. I pointed to it. Sea turtles are such angels of the ocean. I love them!

We swam over to the jetty. Jetties tend to be good for fish life – coral grows along the pylons and fish congregate there. There were huge schools of fish by the pylon.


Further out from the jetty, I spotted the shadow of a shark swimming along. It was the first time I’d seen a shark while snorkeling on my own – before then, it was only during a tour. I expected I would be frightened, but it was far enough away, it didn’t worry me. Indy wasn’t able to see it. I spotted the shark a second time, too. I think it was a reef shark. Definitely not large enough to be a tiger or great white. It was hanging out in the deeper water, away from the jetty.

We stopped for a moment on one of the jetty platforms and then continued on.

I saw a juvenile octopus and it was the cutest thing! As I approached, it tucked itself deeper into a crevice, changing colors along the way.


We also saw a couple of starfish. Some were big and blue, others tan and spotted.



Indy pointed out what we think was a dead sea snake – but it was partially obscured in the sea grass, so we weren’t sure. There were also a few gigantic sea cucumbers around!

We swam back to shore, chilly from being in the water for nearly 45 minutes. We laid in the sun to warm up and had some snacks. Ants crawled along our beach towels and the birds of the island walked over to us, hoping for crumbs.

We decided to go in one last time before we had to get back on the boat.
Again, lots of fish, but the highlight was a pretty close encounter with a white-tipped reef shark. Reef sharks aren’t really aggressive. I suppose they could technically bite, but they’re shy and don’t like humans. Any time I’d seen one, it was swimming away from me, having noticed me before it.


I followed it from a distance for a few moments. The way sharks move are so hypnotizing, with such beautiful rhythm.
Moments later, Indy was snorkeling along and got spooked because he realized he had swam right over a resting shark wedged in the gap between some coral.
At this point, we were the only ones in the water. I think that’s what made the sharks feel they could come a little bit closer to shore – all the tourists had F’d off for the day!

We made our way back to the beach and dried off before heading to our boat.
It was incredible to be reunited with the ocean again after so much time away from it. The last time I’d been snorkeling was at the end of March and I have missed it so. My first snorkel at the Great Barrier Reef blew me away – I can’t believe everything we were able to see in such a short amount of time. Two octopi, two sea turtles, two (three?) sharks, so many wonderful, unique fish. Sea cucumbers, starfish. It was paradise! I can’t wait to get SCUBA certified so I can experience the underwater world in a whole new way.
I also want to extend a huge thank you to Indy for inviting me to Green Island. Regardless of the tickets being free, it was really kind of him to invite me along. He was such good company and we got along very easily. He leaves Cairns tomorrow, but we’re hoping to reconnect when I pass through the Brisbane area on my way down to Sydney in July or August.
Art of the Week

Similarly to my other post, it feels a little foreign to be drawing people again. I found I lacked confidence in my linework, but I’m sure with a little more practice, I will get familiar with it all again. Fingers crossed!
Reflections
I’m afraid I don’t have much to report here, as I mentioned most of it in my last post. I need to get the SCUBA tours sorted on Monday and then I’m heading to Cape Tribulation for a week on Tuesday. Other than that, things are going well! I think I will likely just hang out and relax the next couple of days… hope that my hostel mates behave themselves a little better haha.

Sending my love! xx